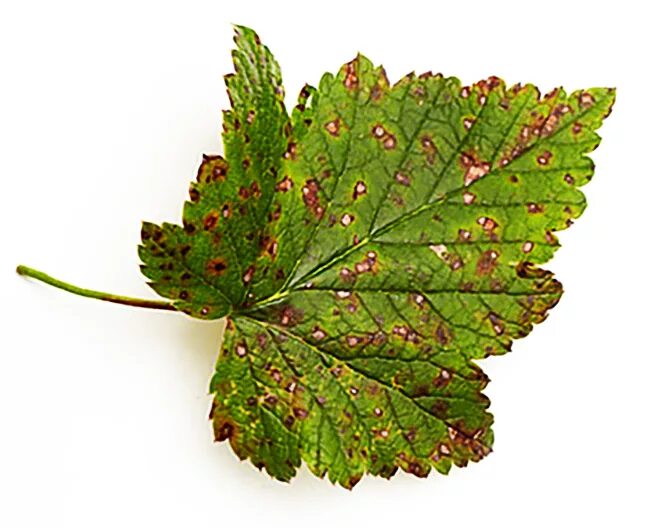
Листья смородины коричневые