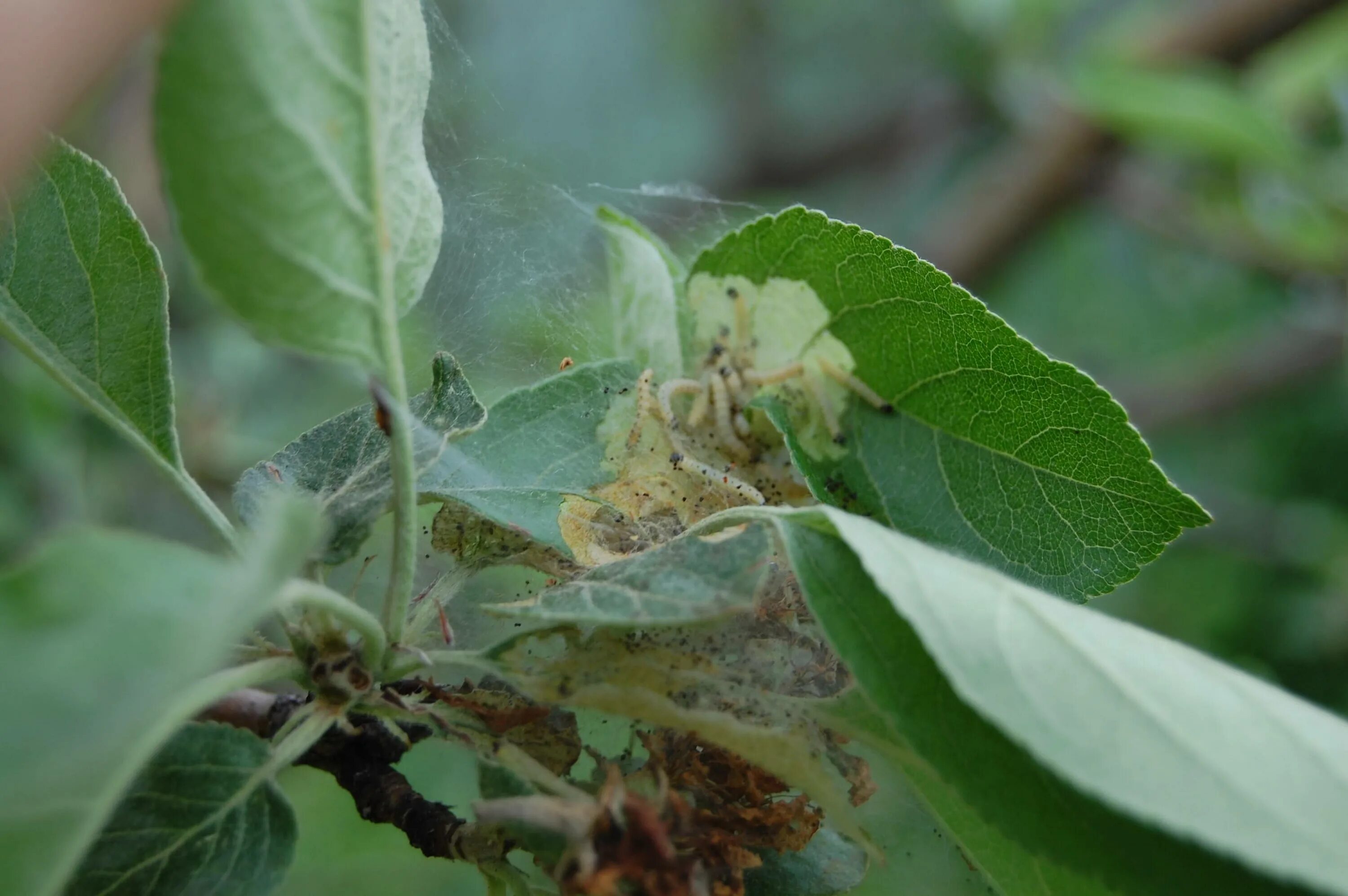
Яблоня гусеница ест