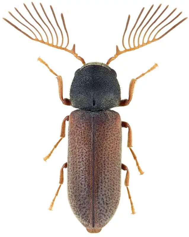
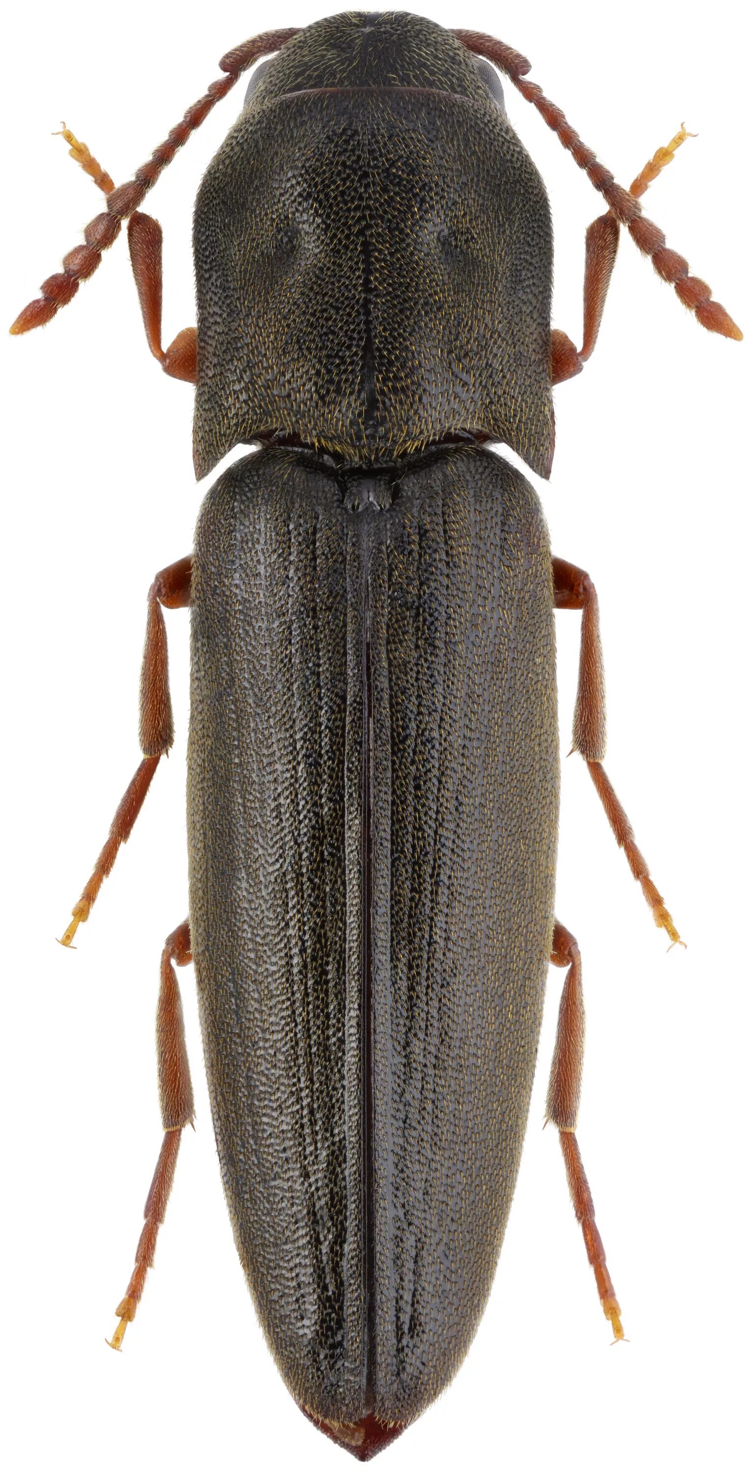
Жук деревоед